倉庫用地に最適!
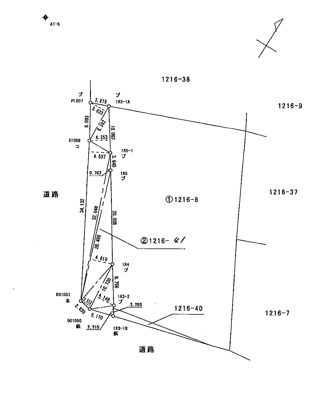
| 所在地 | 千葉県成田市吉岡字西ノ向1216番8 |
|---|---|
| 地目 | 畑 |
| 都市計画 | 都市計画区域内 非線引き区域 |
| 用途地域 | 無指定地域 |
| 建ペイ率 | 60% |
| 容積率 | 200% |
| 接道状況 | 二方道路 西側 千葉県道79号線(横芝下総線)幅員約14m 南側 成田市道 幅員約3.9m ※上記、道路幅員については現況優先 |
| 土地権利 | 所有権 |
| 面積(公簿、実測) | 1,212㎡(約366.63坪) |
| 販売価格 | - |
| 交通 | 圏央道 大栄JCT・下総IC 東関東 成田IC・大栄IC |
| 設備 | 井戸 浄化槽 東京電力 |
| 現況 | 更地 |
| 引渡日 | 相談 |
| 取引態様 | 売主 |
| 備考 | 農振農用地区域内 農地法許認可を要する(第2種農地) |






