東大戸小学校 第五中学校 大戸駅 全て徒歩圏内!!
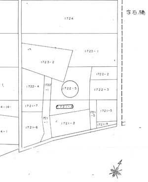
| 所在地 | 千葉県香取市大戸1721番8、1722番5 |
|---|---|
| 地目 | 雑種地 田 |
| 都市計画 | 未線引き |
| 用途地域 | 無指定区域 |
| 建ペイ率 | 60% |
| 容積率 | 200% |
| 接道状況 | 西側幅員約4.0mの私道へ接道 |
| 土地権利 | 所有権 |
| 面積(公簿、実測) | 489㎡(約147.92坪) |
| 販売価格 | - |
| 交通 | JR成田線 大戸駅 |
| 設備 | 東京電力 井戸 浄化槽 個別PG |
| 現況 | 更地 |
| 引渡日 | 相談 |
| 取引態様 | 専属専任媒介契約 |
| 備考 | 農地法の許認可を要する |
土地建物の無料査定 |
|---|
| 土地、建物を売却したい方、ご相談ください。査定は無料で承ります。 |
賃貸経営の相談窓口 |
|---|
| 賃貸経営したい方、入居者を募集したい方、ご相談ください。 |
賃貸契約の解約手続き |
|---|
| アドレスを通して賃貸契約されたかたの解約手続きはこちらから。 |